Terreno Edificabile in Paese

Notaresco (Notaresco) - Teramo

Descrizione

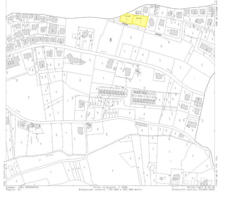
Si vende terreno edificabile nel Comune di Notaresco (TE) diviso in due lotti da 763 mq e 950 mq. Collocato vicino al centro abitato e raggiungibile da Via Alcide De Gasperi, il terreno vanta una bella vista panoramica e presenta tutte le opere di urbanizzazione nelle immediate vicinanze (fognatura, illuminazione, gas, acqua, ecc.). Possibilità di acquistare l'intero terreno o frazionare le dimensioni dei lotti. Prezzo: € 39/mq - Lotto 763 mq = € 29.757 - Lotto 950 mq = € 37.050 In questa zona (B3) è possibile procedere alla costruzione di edifici, demolizione e ricostruzione di eventuali edifici esistenti, per intervento diretto applicando i seguenti INDICI: - Superficie minima lotto: Sf 600 mq - Indice di fabbricabilità fondiario: Uf 0,30 mq/mq - Rapporto di copertura: Rc 0,40 mq/mq - Altezza massima edifici: Hf - 10,50 ml - Numero dei piani fuori terra: Nf 3 - Distanza dai confini: Dc m 5,00 - Distanza dalle strade: Ds Calcolata in base all'art. 9 D.M. 2/4/1968 Riferimento: NTA - Norme Tecniche di Attuazione - Comune di Notaresco (TE)

€ 29.757

Caratteristiche principali

Urbanizzazione primaria

  • Strade residenziali
  • Pubblica illuminazione
  • Spazi sosta o parcheggio
  • Spazi verde attrezzato
  • Rete fognaria
  • Rete idrica
  • Rete energia elettrica
  • Rete gas
  • Rete telecomunicazioni

 Richiesta informazioni